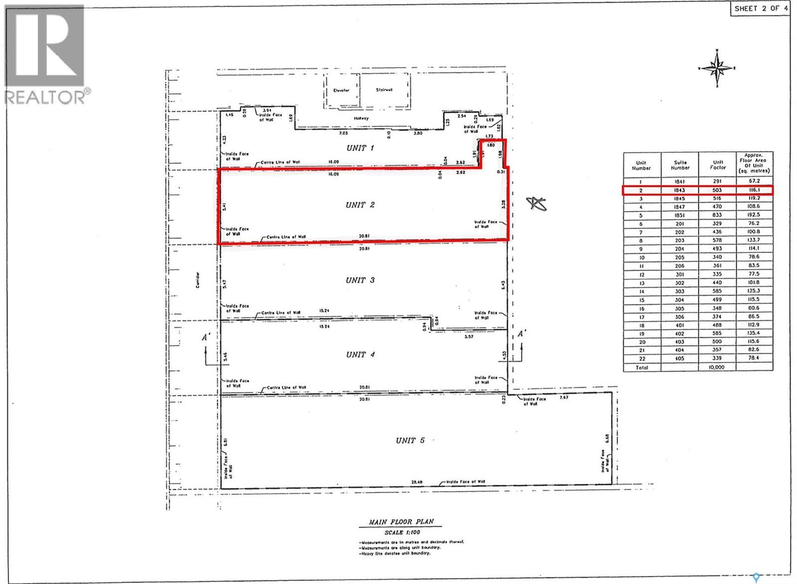
Rare opportunity for purchase 1,250 sq. ft. retail space currently used as women's fashion boutique store. Prime location and ideal for all general retail use. Features a bright showroom, cash counter, fitting room, washroom, and a full basement for storage. Located in the heated Scarth Street Pedway with 24/7 security by Harvard Development. Enjoy being downtown Regina and benefit from high foot traffic and nearby amenities. This property is an excellent home for your business venture. Current existing inventory and business can be for purchase as well. (id:44479)
| Business Type | Retail and Wholesale |
| Business Sub Type | General retail |
| MLS® Number | SK027771 |
| Property Type | Retail |
| Neigbourhood | Downtown District |
| Constructed Date | 1908 |
| Heating Type | Furnace |
| Size Exterior | 1250 Sqft |
| Size Interior | 1250 Sqft |
| Type | Retail |
| Acreage | No |
https://www.realtor.ca/real-estate/29311683/1843-scarth-street-regina-downtown-district
Contact us for more information
John Chung
Salesperson
(306) 791-7666
(306) 565-0088
https://remaxregina.ca/
Scott Predenchuk
Salesperson
(306) 791-7666
(306) 565-0088
https://remaxregina.ca/